TeleMetro.com
    • Debate Z
    • Es Noticia
      • Economía
      • Ambiente
      • Deportes
      • Entretenimiento
      • Telemetro Reporta Regional
      • Rusia - Ucrania
    • Economía
    • Nacionales
    • Política
    • Internacionales
    • Programas
      • Radiografía
      • ECO News
      • En Contexto
      • Telemetro Reporta Regional
      • El Polígrafo
      • Perfiles 360
      • Dime Quien Eres
      • Economía Inteligente
      • Creando Ando
      • Enfoque Crítico
    • En Vivo
    ECO TV Panamá
    • Debate Z
    • Es Noticia
      • Economía
      • Ambiente
      • Deportes
      • Entretenimiento
      • Telemetro Reporta Regional
      • Rusia - Ucrania
    • Economía
    • Nacionales
    • Política
    • Internacionales
    • Programas
      • Radiografía
      • ECO News
      • En Contexto
      • Telemetro Reporta Regional
      • El Polígrafo
      • Perfiles 360
      • Dime Quien Eres
      • Economía Inteligente
      • Creando Ando
      • Enfoque Crítico
    • En Vivo

    noticias de Panamá - Página 159

    Autoridades cuestionan desatención a medidas de bioseguridad
    CSS.

    Autoridades cuestionan desatención a medidas de bioseguridad

    Crece ese negocio y todos se hacen los locos | Flor Mizrachi
    política.

    Crece ese negocio y todos se hacen los locos | Flor Mizrachi

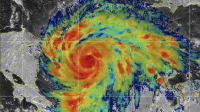
    Huracán Iota sube a categoría 4 en su avance a Centroamérica devastada por Eta
    huracán.

    Huracán Iota sube a categoría 4 en su avance a Centroamérica devastada por Eta

    Sinaproc levanta bandera roja en playas y ríos del territorio panameño
    Sinaproc.

    Sinaproc levanta bandera roja en playas y ríos del territorio panameño

    Alerta roja para Bocas del Toro
    Ngäbe Buglé.

    Alerta roja para Bocas del Toro, Chiriquí y Comarca Ngäbe Buglé

    Renovada selección de EEUU en busca del gol en amistoso ante Panamá
    renovada.

    Renovada selección de EEUU en busca del gol en amistoso ante Panamá

    AMP restringe zarpe por 24 horas a embarcaciones menores en ambos litorales
    AMP.

    AMP restringe zarpe por 24 horas a embarcaciones menores en ambos litorales

    CCIAP: Momento de establecer prioridades y entrar en ejecución
    Cámara de Comercio, Industrias, y Agricultura de Panamá.

    CCIAP: Momento de establecer prioridades y entrar en ejecución

    Independencia judicial de Panamá en alerta, advierten expertos
    independencia.

    Independencia judicial de Panamá en alerta, advierten expertos

    Iota se convierte en huracán y amenaza con lluvias e inundaciones en Panamá
    tormenta.

    Iota se convierte en huracán y amenaza con lluvias e inundaciones en Panamá

       Página anterior Página siguiente   

    Nacionales

    Jhonathan Vega: "Lo que sucedió en el puente de las Américas tiene nombre y apellido"

    Vivian Jaén

    ¡Desastre vial! Panamá cancelará concesión de empresa tras incendio en La Boca

    Puente de las Américas seguirá cerrado hasta garantizar condiciones seguras, advierte el MOP

    Tráfico en el Puente de las Américas afectado por incendio de tres camiones en La Boca

    Naturgy anuncia interrupción eléctrica programada por 5 horas en Panamá Oeste

    ECO TV Panamá
    • Debate Z
    • Es Noticia
    • Economía
    • Nacionales
    • Política
    • Internacionales
    • Programas
    • En Vivo
    • Telemetro
    • RPCTV
    • Oyetv.com.pa
    • Cospanama
    • Go Medcom
    • Rpcradio.com
    • Calienteradiopty.com
    • Telemetro Radio
    • medcom.com.pa
    • Términos y Condiciones
    • Historia de Eco TV

    Eco Tv es un canal exclusivo de TIGO | Copyright © 2021. Todos los derechos reservados

    Apartado 0834-00129, Panamá - Rep. de Panamá | Dirección, Avenida 12 de Octubre | Central Telefónica (507) 390-6700.

    Powered By: DosAlCubo